2017 - Ireland , Guiness and Hybrids ! - Fiskesnack.com - För oss bakom flötet...

Allmänt meddelande

Collapse
No announcement yet.

2017 - Ireland , Guiness and Hybrids !

Collapse
X
 
  • Filter
  • Klockan
  • Visa
Clear All
new posts

  • 2017 - Ireland , Guiness and Hybrids !

    Great week in Ireland staying at the famous Anglers Rest controlled by Francis Mc Goldrick , Ballyconnel .

    Had a try on the Woodford River thro the town as the World pairs had taken up the good local waters . We then went out to Killeykeen in search of the Hybrids and we were not disappointed .













    Mick with a load of good roach / Hybrids















    Another day we went to Eonis Muck and connected with many Roach














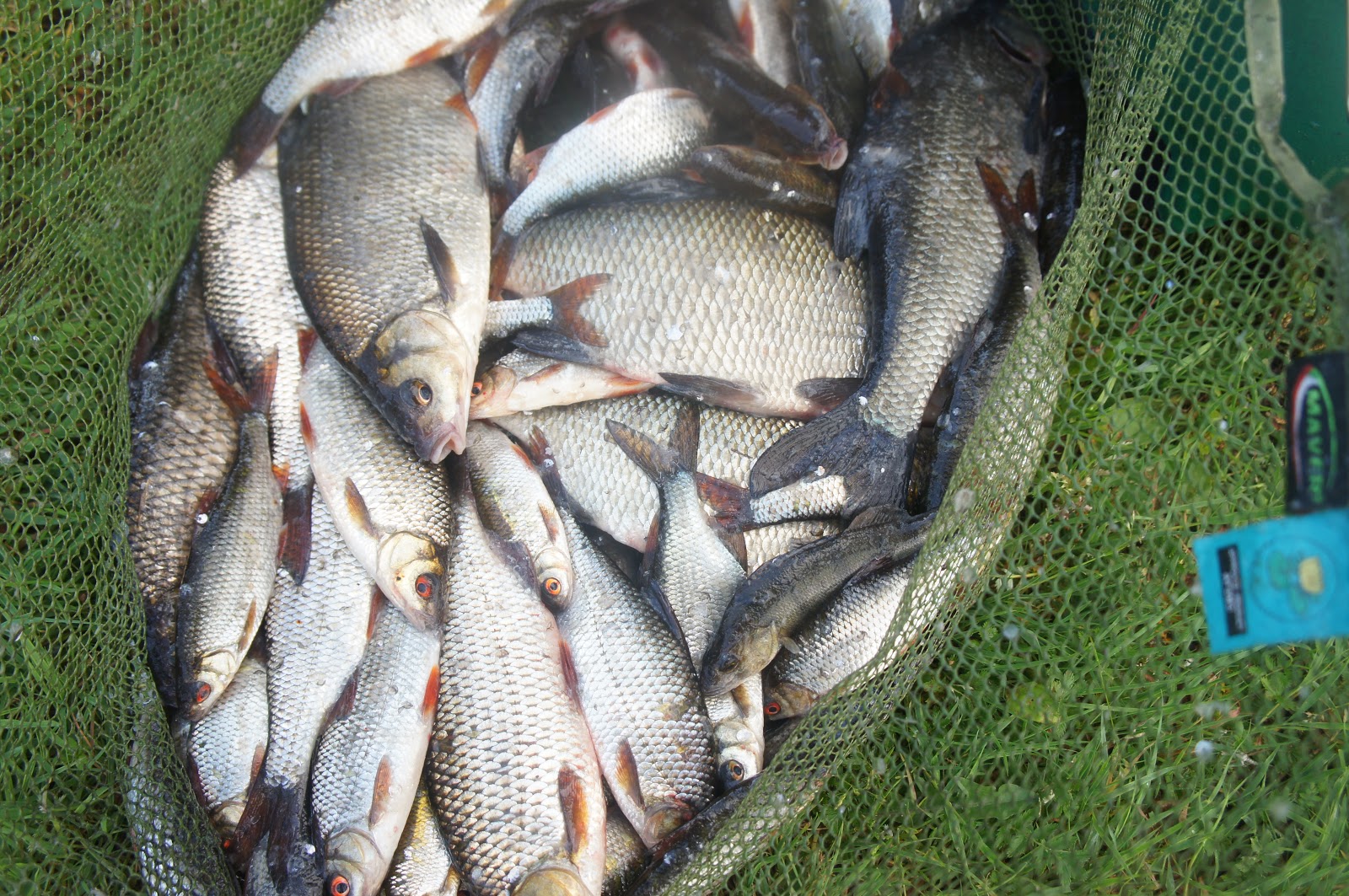
    Great net of Roach extracted as quick as possible as the Pike were listening to the Dinner-bell
    Hit 5 and only lost one hook length .....bonus !




    Another day fished Eonish















    Trip into Enniskillen to shop on Sligo road ......



    Toy shop at Bait and Tackle - local float maker ......... be rude not to .





    GARRADICE like so many lakes ....... car to the peg


















    lAST DAY AND TRAVEL HOME ............ULTRA SAD ! ........Back again next year , hopefully twice .











    Ferry home .......crying !!









    Läs mer på bloggen

Foton

Collapse

Det finns inga resultat som uppfyller dessa kriterier.

Relaterat

Collapse

Ämnen Statistik Senaste inlägg
Startad av Landlax, 2014-07-12, 21:40
1 svar
988 visningar
0 gillar
Senaste inlägg Marfal
av Marfal
 
Startad av Xerup, 2022-07-06, 19:49
91 svar
6 888 visningar
0 gillar
Senaste inlägg Xerup
av Xerup
 
Startad av Team Colibri, 2025-06-19, 10:26
0 svar
66 visningar
1 gilla
Senaste inlägg Team Colibri  
Startad av Team Colibri, 2025-07-02, 09:19
0 svar
85 visningar
3 gillar
Senaste inlägg Team Colibri  
Arbetar...
X